NEW!! 新築一戸建て

山陰ライフ】田島1号

#バリアフリー #オール電化 #接道6m以上 #駐車場2台可
  • 1/30
  • 2/30
  • 3/30
  • 4/30
  • 5/30
  • 6/30
  • 7/30
  • 8/30
  • 9/30
  • 10/30
  • 11/30
  • 12/30
  • 13/30
  • 14/30
  • 15/30
  • 16/30
  • 17/30
  • 18/30
  • 19/30
  • 20/30
  • 21/30
  • 22/30
  • 23/30
  • 24/30
  • 25/30
  • 26/30
  • 27/30
  • 28/30
  • 29/30
  • 30/30
物件
価格

2,990万円

48.35坪 /4LDK
map 鳥取市田島 train
JR山陰本線「鳥取」駅 徒歩33分
JR因美線「津ノ井」駅 徒歩90分

  • 2990万円、4LDK、土地面積159.86m2、建物面積104.33m2 1階:51.34m2LDK(16.8帖)、水まわり、パントリー、玄関、タタミコーナー(3帖)、収納2階:52.99m2収… 1/30
  • 2990万円、4LDK、土地面積159.86m2、建物面積104.33m2 小学校まで1キロ圏内 幼稚園や保育園も歩いて通える安心の環境です 2/30
  • 閑静な住宅街に分譲中 市街地アクセス便利  外構、周辺環境はイメージです。 3/30
  • \GX志向型住宅補助金110万円対象物件/追加費用なしで110万円全額受給可。 詳細はお問合せください。 4/30
  • 対面キッチンからリビング全体を見渡せるLDK。料理をしながら家族と会話を楽しめる、心地よい距離感です。自然と笑顔が集まる、家族の中心となる空間です。 5/30
  • 収納付き居室(8帖) WICベッドをつなげて置いて、家族みんなでお休みもできる広さです。収納スペースとWIC付きで、すっきりとした空間を保てます。 6/30
  • キッチンの横に水まわりをまとめた、使いやすい間取り。料理 洗濯 片付けの流れがスムーズで、移動も最小限。忙しい時間帯も、自然と効率よく動ける設計です。 7/30
  • ウォークインクローゼット(4帖)4帖のウォークインクローゼットは、衣類や小物をまとめて収納できるゆとりの広さ。すっきり片付く便利な収納空間です。 8/30
  • 収納付き居室(4.5帖、6帖)建具の引きしろを気にせずお部屋を使えるオープン収納を設けたお部屋です。ちょうどよい広さで子ども部屋に好適  家具 小物等はCGで合成したイメージです 9/30
  • 未完成物件でも安心 マチリブモデルハウスで室内を確認できます。お部屋の広さや水回り設備、収納量、涼しさなどの快適性を同仕様物件で実際に確かめて購入できるので安心です。 10/30
  • クリナップ製システムキッチンお手入れラクラクIHヒーター、食器洗浄乾燥機つき。キッチン背面にパントリー付き 11/30
  • ハウステック製洗面化粧台お手入れしやすい排水口と壁付水栓で家事ラク 三面鏡裏 キャビネット収納つき。玄関近くで、帰宅後の手洗い習慣にぴったり。 12/30
  • ハウステック製バスルームゆとりの1坪サイズ、高断熱浴槽、換気暖房乾燥機つき。 13/30
  • ドライルーム兼脱衣室物干し金具つき。毎日のお部屋干しもラクラクです。 14/30
  • リクシル製シャワートイレ各階トイレ完備 超節水型、2階は手洗い器つき。 15/30
  • パントリーキッチン背面には、食材や日用品がサッと取り出せる便利なオープンパントリー。出し入れがスムーズで、毎日の家事がもっと快適に 」 16/30
  • 玄関土間収納付き玄関で靴やレイングッズなど効率よく収まります。浅広の収納はしまってあるアイテムが一目で確認でき、取り出しやすく片付けやすい 17/30
  • 現地(2025年12月23日)撮影 18/30
  • 西松屋鳥取城北店まで159m (徒歩2分) 19/30
  • エスマート田園町店まで1012m (車3分) 20/30
  • 対象8品目の自然故障 不具合が発生した場合、通常1〜2年間のメーカー保証終了後も、お引渡しから10年間無料で修理、もしくは必要に応じて新品交換をいたします。 詳しくはお問合せください。 21/30
  • 年中無休 24時間体制で入居後の住まいの不具合や相談をお受けいたします。さらに、水回りトラブルには駆け付け 応急サービスを10年間無償で対応いたします。 22/30
  • 「無料相談」住宅ローン相談&ローンシミュレーション実施中 過去にローン審査が通らなかった方もお気軽にご相談ください。解決策を一緒に考えます 23/30
  • マルイ薬師町店まで1065m (車3分) 24/30
  • ローソン鳥取西品治店まで636m (徒歩8分) 25/30
  • ザグザグ西品治店まで1184m (車3分) 26/30
  • 鳥取市立西中学校まで1193m (徒歩15分) 27/30
  • 鳥取市立富桑小学校まで1201m (徒歩16分) 28/30
  • 認定こども園鳥取第二幼稚園まで1073m (車3分) 29/30
  • 鳥取県立中央病院まで1372m (車4分) 30/30

月々のお支払い例

借入金額
万円
支払期間
金利
%
頭金
万円
ボーナス
万円
月々の
支払い金額
※山陰合同銀行/借入金2,990万円、返済期間40年、金利0.800%変動金利)の場合
※審査により金利は変わる可能性があります。
営業時間/10:00〜18:00
定休日/水曜日

周辺地図

物件概要

物件名
山陰ライフ】田島1号(物件番号:artk-74510661)
所在地
交通
JR山陰本線「鳥取」駅 徒歩33分 JR因美線「津ノ井」駅 徒歩90分
学校区
物件種別
新築一戸建て
価格
2,990 万円 (税込)
築年月
2026年6月完成予定
構造
木造
階数
地上2階 建
土地面積
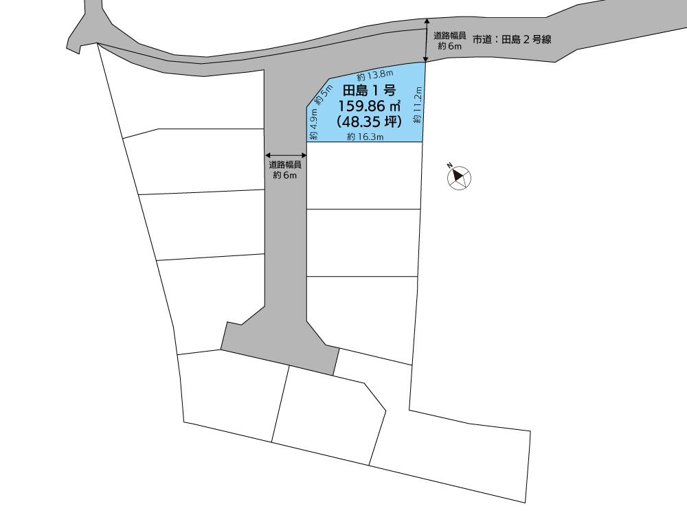
159.86㎡ (48.35坪)
建物面積
104.33㎡ (31.55坪)
間取り
4LDK
接道
西側 4.9m 私道に 6.0m接道
セットバック
私道負担
土地権利
所有権
駐車場
3台駐車可
諸費用
現況
建ぺい率
60%
容積率
200%
地目
水道・ガス
都市計画
引渡時期
2026年07月下旬
総戸数
11戸
用途地域
第1種中高層住居専用地域
国土法届出
不要
法令上の制限
取引態様
仲介
建築確認番号
建築条件
情報更新日
2026年05月19日
次回更新予定日
2026年06月02日
設備
コンロ種別IH システムキッチン 給湯 シャワー付洗面化粧台 W.INクローゼット TVドアホン バリアフリー 温水洗浄便座 オール電化 カウンターキッチン 浴室乾燥機 食器洗い乾燥機 全居室収納 シューズインクローゼット有 太陽光発電システム オートバス パントリー トイレ2ヶ所以上
※ 図面と現況が異なる場合は、現況を優先とします。
※ 掲載物件は成約済み・売却中止となる場合があります。
※ 成約の際は仲介手数料とこれにかかる消費税が必要です。
※ 写真に写っている、またはパース(絵)や間取り図に描かれている家具や車などは、特にコメントがない場合、物件価格に含まれません。

鳥取・倉吉エリア 担当事務所

map 鳥取県鳥取市南隈838 0120-759-575 営業時間:10:00〜18:00(水曜定休) 来店予約