NEW!! 中古一戸建て

鳥取市立川町5

#新着・値下げ物件 #南向き
  • 1/4
  • 2/4
  • 3/4
  • 4/4
物件
価格

809万円

40.48坪 /4SK
map 鳥取市立川町5 train
なし

セットバック区分:無

  • 1/4
  • 2/4
  • 3/4
  • 4/4

月々のお支払い例

借入金額
万円
支払期間
金利
%
頭金
万円
ボーナス
万円
月々の
支払い金額
※山陰合同銀行/借入金809万円、返済期間40年、金利0.800%変動金利)の場合
※審査により金利は変わる可能性があります。
営業時間/10:00〜18:00
定休日/水曜日

周辺地図

物件概要

物件名
鳥取市立川町5
所在地
鳥取市立川町5 鳥取市の不動産一覧 >
交通
なし
学校区
物件種別
中古一戸建て
価格
809万円 (税込)
築年月
1963年1月築
構造
木造
階数
地上2階 建
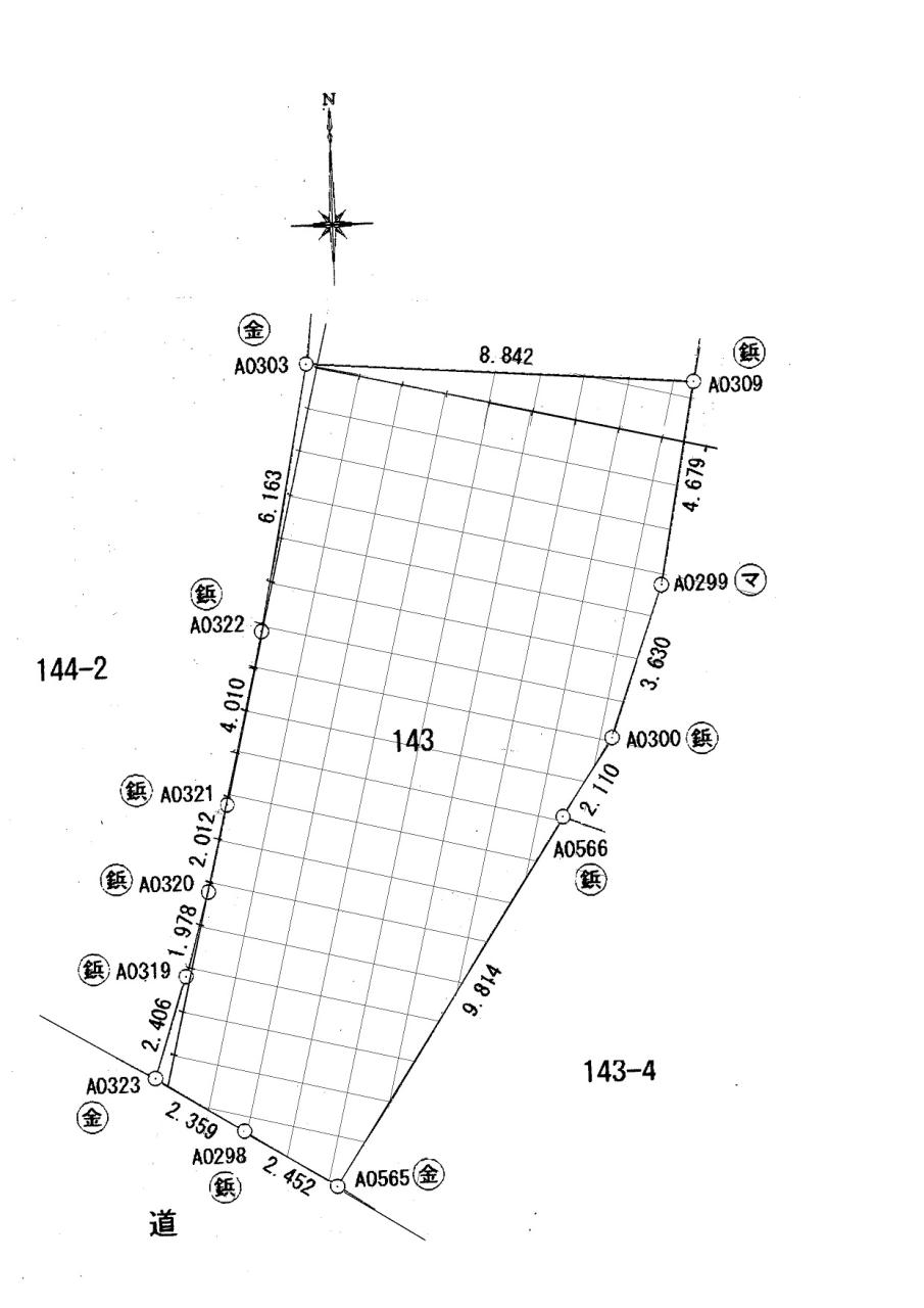
土地面積
133.85㎡ (40.48坪)
建物面積
98.11㎡ (29.67坪)
間取り
4SK
接道
南西側 4.8m 公道に 14.4m接道
セットバック
私道負担
土地権利
所有権
駐車場
諸費用
現況
空家
建ぺい率
60%
容積率
200%
地目
宅地
水道・ガス
水道・プロパンガス
都市計画
市街化区域
引渡時期
相談
用途地域
第1種住居地域
国土法届出
不要
法令上の制限
取引態様
仲介
建築条件
情報更新日
2026年04月04日
次回更新予定日
2026年04月18日
設備
専用庭
※ 図面と現況が異なる場合は、現況を優先とします。
※ 掲載物件は成約済み・売却中止となる場合があります。
※ 成約の際は仲介手数料とこれにかかる消費税が必要です。
※ 写真に写っている、またはパース(絵)や間取り図に描かれている家具や車などは、特にコメントがない場合、物件価格に含まれません。

鳥取・倉吉エリア 担当事務所

map 鳥取県鳥取市南隈838 0120-759-575 営業時間:10:00〜18:00(水曜定休) 来店予約