NEW!! 土地

境港市外江町

#建築条件なし #新着・値下げ物件 #接道6m以上 #南向き #50坪以上
  • 1/8
  • 2/8
  • 3/8
  • 4/8
  • 5/8
  • 6/8
  • 7/8
  • 8/8
物件
価格

502万円

66.17坪
map 境港市外江町 train
JR境線「馬場崎町」駅 徒歩17分

セットバック区分:無

  • 1/8
  • 2/8
  • 3/8
  • 4/8
  • 5/8
  • 6/8
  • 7/8
  • 8/8

月々のお支払い例

借入金額
万円
支払期間
金利
%
頭金
万円
ボーナス
万円
月々の
支払い金額
※山陰合同銀行/借入金502万円、返済期間40年、金利0.800%変動金利)の場合
※審査により金利は変わる可能性があります。
営業時間/10:00〜18:00
定休日/水曜日

周辺地図

物件概要

物件名
境港市外江町
所在地
交通
JR境線「馬場崎町」駅 徒歩17分
学校区
物件種別
土地
価格
502万円
土地面積
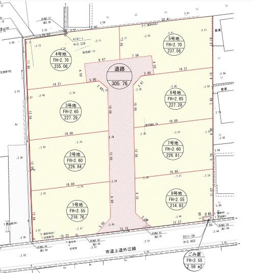
218.76㎡ (66.17坪)
接道
南側 15.2m 公道に 6.0m接道
セットバック
私道負担
土地権利
諸費用
現況
更地
建ぺい率
60%
容積率
200%
地目
水道・ガス
水道
都市計画
市街化区域
引渡時期
即時
総戸数
用途地域
第1種中高層住居専用地域
国土法届出
不要
法令上の制限
取引態様
仲介
建築条件
情報更新日
2026年04月04日
次回更新予定日
2026年04月18日
設備
※ 図面と現況が異なる場合は、現況を優先とします。
※ 掲載物件は成約済み・売却中止となる場合があります。
※ 成約の際は仲介手数料とこれにかかる消費税が必要です。
※ 写真に写っている、またはパース(絵)や間取り図に描かれている家具や車などは、特にコメントがない場合、物件価格に含まれません。

米子・境港エリア 担当事務所

map 鳥取県米子市米原5-5-17 0120-759-575 営業時間:10:00〜18:00(水曜定休) 来店予約